土地 佐賀市高木瀬西5丁目
所在地
佐賀市高木瀬西5丁目
1,350万円
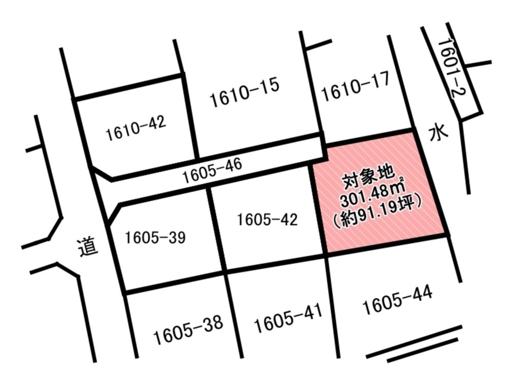
91.19坪
業務スーパー佐賀北店まで徒歩で約7分(約550m)
佐賀北郵便局まで徒歩で約9分(約650m)
SAGAアリーナまで車で約5分(約2.0km)
月々の支払例
【※ボーナス払い無し】
【※ボーナス払い無し】
※佐賀銀行/頭金0円、返済期間40年、金利1.120%変動金利変動金利型(2026年03月)の場合
※金利は毎月見直されます。別途、融資手数料、その他諸費用がかかります。
※審査により金利は変わる可能性があります。
物件概要
- 交通
-
長崎線 佐賀駅 バス15分乗車 バス停高木瀬西5丁目 まで 徒歩3分
- 接道状況
-
北側 私道4m 間口約3m
西側 私道4m 間口約2m - 土地面積
- 301.48㎡ (91.19坪)
- 建ぺい率
- 50%
- 容積率
- 80%
- 土地権利
- 所有権
- セットバック
- 無し
- 小学校区
- 高木瀬 ( 550m )
- 中学校区
- 城北 ( 500m )
- 私道負担
- 建築条件
- なし
- 地目
- 宅地
- 現況
- 上物有
- 引渡時期
- 相談
- 上水道
- 下水道
- ガス
- 都市計画
- 市街化区域
- 用途地域
- 1種低層
- 設備・条件
- 備考
- ぐるっとさがナビ防災・防犯マップによると洪水による浸水深0.5m未満想定区域
- 取引態様
- 仲介

